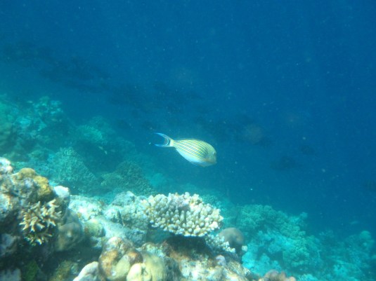
This was one of our favorite places we visited. It’s an atoll in Papua New Guinea and had the best snorkeling of our trip. The fish were colorful and plentiful and the coral was gorgeous. We snorkeled along a deep drop-off, which allowed us to see both small and large fish. It’s the only place we came across a sea turtle.













Mar 21, 2019 @ 21:42:07
What a pretty sea star!